内容摘要:据《今日美国》8月3日报道,美国航空航天局(NASA)当地时间3日发布消息称,超强台风Soudelor已席卷太平洋,目前正在向中国沿海和台湾地区移动,预计最早3天后将到达中国沿海地区。
关键词:风暴;太平洋;中国;登陆;超强台风
作者简介:

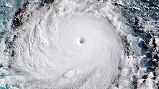
超强台风苏迪罗(Soudelor)台风眼红外线图像(来自美国航天局NASA)

超强台风苏迪罗(Soudelor)靠近美属北马里亚纳岛(向日葵8号气象卫星图)

超强台风苏迪罗(Soudelor)靠近澳大利亚北部时天气状况卫星图(来自《悉尼先驱晨报》)
【环球网报道 实习记者 杜晓菲】据《今日美国》8月3日报道,美国航空航天局(NASA)当地时间3日发布消息称,超强台风Soudelor已席卷太平洋,目前正在向中国沿海和台湾地区移动,预计最早3天后将到达中国沿海地区。
据报道,超强台风苏迪罗(Soudelor)目前正以每小时178英里(约合286千米)的速度向中国东南部沿海和台湾地区靠近。美国联合台风警报中心预测,台风苏迪罗的最高风速可达每小时361千米,将成为2015年全球最强的风暴。
据美国《太平洋每日新闻》报道,此次风暴于当地时间1日晚间袭击美属北马里亚纳岛的塞班岛,当地的电力设施被冲毁,房屋也被掀翻。目前,塞班岛数百名居民还住在临时搭建的帐篷里,数条公路尚未通行,电力和水源全部中断。







